Железоуглеродистые сплавы, сплавы железа с углеродом на основе железа. Варьируя состав и структуру, получают Ж. с. с разнообразными свойствами, что делает их универсальными материалами. Различают чистые Ж. с. (со следами примесей), получаемые в небольших количествах для исследовательских целей, и технические Ж. с. — стали (до 2%С) и чугуны (св. 2% С), мировое производство которых измеряется сотнями млн. т. Технические Ж. с. содержат примеси. Их делят на обычные (фосфор Р, сера S, марганец Mn, кремний Si, водород Н, азот N, кислород О), легирующие (хром Cr, никель Ni, молибден Mo, вольфрам W, ванадий V, титан Ti, кобальт Со, медь Cu и др.) и модифицирующие (магний Mg, церий Ce, кальций Ca и др.). В большинстве случаев основой, определяющей строение и свойства сталей и чугунов, является система Fe — С. Начало научному изучению этой системы положили русские металлурги П. П. Аносов (1831) и Д. К. Чернов (1868). Аносов впервые применил микроскоп при исследовании Ж. с., а Чернов установил их кристаллическую природу, обнаружил дендритную кристаллизацию и открыл в них превращения в твёрдом состоянии. Из зарубежных учёных, способствовавших созданию диаграммы состояния Fe — С сплавов, следует отметить Ф. Осмонда (Франция), У. Ч. Робертса-Остена (Англия), Б. Розебома (Голландия) и П. Геренса (Германия).
Фазовые состояния Ж. с. при разных составах и температурах описываются диаграммами стабильного (рис. 1, а) и метастабильного (рис. 1, б) равновесий. В стабильном состоянии в Ж. с. встречаются жидкий раствор углерода в железе (Ж), три твёрдых раствора углерода в полиморфных модификациях железа (табл. 1)
Табл. 1.— Кристаллические фазы железоуглеродистых сплавов
| Название фазы | Природа фазы | Структура |
| a-феррит | Твердый раствор внедрения углерода в a-Fe | Объемноцен |
| Аустенит | Твердый раствор внедрения углерода в g-Fe | Гранецентри |
| d-феррит | Твердый раствор внедрения углерода в d-Fe | Объемноцен |
| Графит | Полиморфная модификация углерода | Гексогональная слоистая |
| Цементит | Карбид железа Fe2C | Ромбическая |
a-раствор (a-феррит), g-раствор (аустенит) и d-раствор (d-феррит), и графит (Г). В метастабильном состоянии в Ж. с. встречаются Ж, a-, g-, d-растворы и карбид железа Fe3C — цементит (Ц). Области устойчивости Ж. с. в однофазных и двухфазных состояниях указаны на диаграммах. При некоторых условиях в Ж. с. могут существовать в равновесии и три фазы. При температурах НВ возможно перитектич. равновесие d + g + Ж, E’C’F’ — эвтектическое стабильное равновесие g + Ж + Г; при ECF — эвтектическое метастабильное равновесие g + Ж + Ц; при P'S'K' — эвтектоидное стабильное равновесие a + g + Г', при PSK — эвтектоидное метастабильное равновесие a + g + Ц. Диаграммы а и б вычерчиваю и в одной координатной системе (рис. 1, в). Такая сдвоенная диаграмма наглядно характеризует относительное смещение однотипных линий равновесия и облегчает анализ Ж. с., содержащих стабильные и метастабильные фазы одновременно.
Основной причиной появления в Ж. с. высокоуглеродистой метастабильной фазы в виде цементита являются трудности формирования графита. Образование графита в жидком растворе Ж и твёрдых растворах a и g связано с практически полным удалением атомов железа из участков сплава, где зарождается и растет графит. Оно требует значительных атомных передвижений. Если Ж. с. охлаждаются медленно или длительно выдерживаются при повышенных температурах, атомы железа успевают удалиться из мест, где формируется графит, и тогда возникают стабильные состояния. При ускоренном охлаждении и недостаточных выдержках удаление малоподвижных атомов железа задерживается, почти все они остаются на месте, и тогда в жидких и твёрдых растворах зарождается и растет цементит. Необходимая для этого диффузия легкоподвижных при повышенных температурах атомов углерода, не требующая больших выдержек, успевает происходить и при ускоренном охлаждении. Помимо основных фаз, указанных на диаграммах, в технических Ж. с. встречаются небольшие количества и др. фаз, появление которых обусловлено наличием примесей. Часто встречаются сульфиды (FeS, MnS), фосфиды (Fe3P), окислы железа и примесей (FeO, MnO, Al2O3, Cr2O3, TiO2 и др.), нитриды (FeN, AlN) и др. неметаллические фазы. Точечными линиями на диаграммах отмечены точки Кюри, наблюдающиеся в Ж. с. в связи с магнитными превращениями феррита (768°С) и цементита (210°С).
Строение Ж. с. определяется составом, условиями затвердевания и структурными изменениями в твёрдом состоянии. В зависимости от содержания углерода Ж. с. делят на стали и чугуны. Стали с концентрацией углерода, меньшей чем эвтектоидная S' и S (табл. 2), называют доэвтектоидными, а более высокоуглеродистые — заэвтектоидными. Чугуны с концентрацией углерода, меньшей чем эвтектическая C1 и С, называют доэвтектическими, а более высокоуглеродистые — заэвтектическими.
Табл. 2.— Координаты точек диаграмм Fe — С
| Точка | Температура, °С | Концентрация углерода, % | |
| A | 1539 | 0,000 |
|
| B | 1494 | 0,50 |
|
| С' | 1152 | 4,26 |
|
| С | 1145 | 4,30 |
|
| N | 1400 | 0,000 |
|
| Н | 1494 | 0,10 |
|
| J | 1494 | 0,16 |
|
| G | 910 | 0,000 |
|
| E' | 1152 | 2,01 |
|
| E | 1145 | 2,03 |
|
| S' | 738 | 0,68 |
|
| S | 723 | 0,80 |
|
| P' | 738 | 0,023 |
|
| P | 723 | 0,025 |
|
Затвердевание сталей, содержащих до 0,5% С, начинается с выпадения кристаллов 8-раствора обычно в виде дендритов. При концентрациях углерода до 0,1% кристаллизация заканчивается образованием однофазной структуры d-раствора. Стали с 0,1—0,5% С после выделения некоторого количества 8-раствора испытывают перитектическое превращение Ж + d —> g. В интервале концентраций 0,10—0,16% С оно приводит к полному затвердеванию, а в интервале 0,16—0,50% С кристаллизация завершается при охлаждении до температуры линии IE. В Ж. с. с 0,5—4,26% С кристаллизация начинается с выделения g-раствора также в виде дендритов. Стали полностью затвердевают в интервале температур, ограниченном линиями ВС и IE, приобретая однофазную аустенитную структуру. Затвердевание же чугунов, начинаясь с выделения избыточного (первичного) g- раствора, заканчивается эвтектическим распадом остатка жидкости по одному из трёх возможных вариантов: Ж ® g + Г, Ж ® g + Ц или Ж ® (+ Г + Ц. В первом случае получаются т. н. серые чугуны, во втором — белые, в третьем — половинчатые. В зависимости от условий кристаллизации графит выделяется в виде разветвленных (рис. 2, ж) или шаровидных (рис. 2, з) включений, а цементит — в виде монолитных пластин (рис. 2, и) или проросших разветвленным аустенитом (т. н. ледебурит, рис. 2, к). В Ж. с., содержащих более 4,26—4,3% С, кристаллизация переохлажденного ниже линии D1C1 расплава в условиях медленного охлаждения начинается с образования первичного графита разветвленной или шаровидной формы. В условиях ускоренного охлаждения (при переохлаждениях ниже линии DC) образуются пластины первичного цементита (рис. 2, л). При промежуточных скоростях охлаждения выделяются и графит, и цементит. Кристаллизация заэвтектических чугунов, так же как и доэвтектических, завершается распадом остатка жидкости на смесь g- раствора с высокоуглеродистыми фазами.
Строение затвердевших Ж. с. существенно изменяется при дальнейшем охлаждении. Эти изменения обусловлены полиморфными превращениями железа, уменьшением растворимости в нём углерода, графитизацией цементита. Структура может изменяться в твёрдом состоянии в результате процессов рекристаллизации твёрдых растворов, сфероидизации кристаллов (из неравноосных становятся равноосными), коалесценции (одни кристаллы цементита укрупняются за счёт других) высокоуглеродистых фаз.
Полиморфные превращения Ж. с. связаны с перестройками гранецентрированной кубической (ГЦК) решётки g-Fe и объёмноцентрированной решётки (ОЦК) a- и d-Fe

В зависимости от условий охлаждения и нагревания полиморфные превращения твёрдых растворов происходят разными путями. При небольших переохлаждениях (и перегревах) имеет место т. н. нормальная перестройка решёток железа, осуществляющаяся в результате неупорядоченных индивидуальных переходов атомов от исходной фазы к образующейся; она сопровождается диффузионным перераспределением углерода между фазами. При больших скоростях охлаждения или нагревания полиморфные превращения твёрдых растворов происходят бездиффузионным (мартенситным) путём. Решётка железа перестраивается быстрым сдвиговым механизмом в результате упорядоченных коллективных смещений атомов без диффузионного перераспределения углерода между фазами. Например, при закалке Ж. с. в воде g- раствор переходит в a- раствор того же состава. Этот пересыщенный углеродом a- раствор называют мартенситом (рис. 2, е). Превращения при промежуточных условиях могут совмещать в себе сдвиговую перестройку решётки железа с диффузионным перераспределением углерода (бейнитное превращение). Формирующиеся при этом структуры существенно различны. В первом случае образуются равноосные с малым числом дефектов кристаллы твёрдого раствора (рис. 2, а). Во втором и третьем — игольчатые и пластинчатые кристаллы (рис. 2, е) с многочисленными двойниками и линиями скольжения. Структура Ж. с. изменяется также и в связи с изменением растворимости углерода в a- и g-железе при охлаждении и нагревании. При охлаждении растворы пересыщаются углеродом и выделяются кристаллы высокоуглеродистых фаз (цементита и графита). При нагревании имеющиеся высокоуглеродистые фазы растворяются в a- и g-фазах.
Зарождение и рост кристаллов цементита в пересыщенных растворах происходит обычно с большей скоростью, чем образование графита, и поэтому Ж. с. часто метастабильны. В зависимости от переохлаждения цементит, выделяющийся из твёрдого раствора, может иметь вид равноосных кристаллов, пограничной сетки, пластин и игл (рис. 2, г, д). При высокотемпературных выдержках кристаллы цементита сфероидизируются; может происходить и процесс коалесценции. Если Ж. с., содержащие цементит, длительно выдерживать при повышенных температурах, происходит графитизация — зарождается и растет графит, а цементит растворяется, Этот процесс используется при производстве изделий из графитизированной стали и ковкого чугуна (рис. 2, м). Важную роль при формировании структуры Ж. с. в твёрдом состоянии играет эвтектоидный распад т-раствора на a-раствор и высокоуглеродистую фазу. При очень малых переохлаждениях образуются феррит и графит (рис. 2, м), при небольшом увеличении переохлаждения — феррит и сфероидизированный цементит (рис. 2, г), затем (рис. 2, в) смесь феррита и цементита приобретает пластинчатое строение перлита, тем более тонкое, чем больше переохлаждение. При персохлаждениях, измеряемых сотнями градусов, эвтектоидный распад подавляется, и g- раствор превращается в мартенсит (рис. 2, е). Строение Ж. с. можно изменять в широких пределах. Основными методами управления структурой Ж. с. являются изменения химического состава, условий затвердевания, пластической деформации, термической и термомеханической обработок. Меняя фазовый состав, величину, форму, распределение и дефектность кристаллов, можно широко варьировать и свойства Ж. с. Например, важнейшие при эксплуатации Ж. с. механические свойства изменяются в следующих пределах: твёрдость от 60 до 800 HB; предел прочности 2·104—3,5·106 н/см2 (2·103—3,5·105 кгс/см2); относительное удлинение от 0 до 70%.
Лит.: Д. К. Чернов и наука о металлах, под ред. Н. Т. Гудцова, Л.—М., 1950; Бочвар А. А., Металловедение, 5 изд., М., 1956; Лившиц Б. Г., Металлография, М., 1963; Тыркель Е., История развития диаграммы железо — углерод, пер. с польск., М., 1968; Бунин К. П., Баранов А. А., Металлография, М., 1970.
К. П. Бунин.

Рис. 2м. Типичные структуры железоуглеродистых сплавов. Ковкий чугун (включения графита в ферритной основе). Увеличено в 150 раз.

Рис. 2и. Типичные структуры железоуглеродистых сплавов. Белый доэвтектический чугун (эвтектический монолитный цементит и перлит). Увеличено в 500 раз.

Рис. 2б. Типичные структуры железоуглеродистых сплавов. Сталь с 0,65% С (сетка феррита и перлит). Увеличено в 150 раз.

Рис. 2г. Типичные структуры железоуглеродистых сплавов. Сталь с 0,91% С (сфероидизированный цементит в феррите). Увеличено в 500 раз.

Рис. 2д. Типичные структуры железоуглеродистых сплавов. Сталь с 1,18% С: сетка и пластины цементита (светлые) в перлите. Увеличено в 150 раз.

Рис. 2е. Типичные структуры железоуглеродистых сплавов. Сталь с 0,85% С (пластины мартенсита и остаточный аустенит). Увеличено в 500 раз.

Рис. 2к. Типичные структуры железоуглеродистых сплавов. Белый доэвтектический чугун: дендриты первичного аустенита (и ледебурит). Увеличено в 150 раз.

Рис. 2з.Типичные структуры железоуглеродистых сплавов. Серый чугун с шаровидным графитом на ферритной основе.

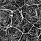
Рис. 2ж. Типичные структуры железоуглеродистых сплавов. Серый чугун: разветвленные пластины графита (тёмные) и зёрна феррита.

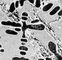
Рис. 2а. Типичные структуры железоуглеродистых сплавов. Сталь с 0,15% С: зёрна феррита (светлые) и участки перлита (тёмные). Увеличено в 150 раз.

Рис. 1б. Диаграммы состояния железоуглеродистых сплавов: состояние метастабильных равновесий.

Рис. 2л. Типичные структуры железоуглеродистых сплавов. Белый заэвтектический чугун (пластины первичного цементита и ледебурит). Увеличено в 150 раз.

Рис. 1в. Диаграммы состояния железоуглеродистых сплавов: состояния с двойными линиями.

Рис. 1a. Диаграммы состояния железоуглеродистых сплавов: состояние стабильных равновесий.

Рис. 2в. Типичные структуры железоуглеродистых сплавов. Сталь с 0,8% С (пластинчатый перлит). Увеличено в 500 раз.