Спектрозональная аэрофотосъёмка, фотографирование местности с воздуха одновременно в нескольких зонах спектра электромагнитных волн. С. а. эффективнее аэрофотосъёмки в одной отдельно взятой спектральной зоне, поскольку отражательная способность наземных природных и искусственных образований изменяется в зависимости от длины волны, причём эта закономерность проявляется в качественном и количественном отношении по-разному для различных объектов. В силу этого часть последних может быть зафиксирована на аэроснимке с требующимся утрированным контрастом при фотографировании в одном диапазоне световых лучей, часть — в другом и т. д. (см. Спектрозональная фотография). Соответственно для выбора при съёмке наиболее подходящих для данного случая зон спектра необходимо знать коэффициенты спектральной яркости интересующих объектов снимаемой территории (при тех или иных её сезонных аспектах и атмосферно-оптических условиях).
Основной вид С. а. — цветная спектрозональная съёмка (см. Цветная аэрофотосъёмка) — разработан во время 2-й мировой войны 1939—45 для распознавания по аэроснимкам замаскированных предметов, а затем получил широкое применение для хозяйственных и научных целей. В настоящее время цветную С. а. производят обычным аэрофотоаппаратом (с жёлтым или красным светофильтром) на аэроплёнке, имеющей на единой подложке два или больше эмульсионных слоя, различающихся по спектральной чувствительности и содержащих такие компоненты, которые при цветном проявлении образуют красители, дополнительные друг другу по цвету. Таким путём обеспечивается получение на одном аэроснимке общего цветного изображения без потери деталей каждого из совмещенных однозональных изображений. Наибольшее распространение из двухслойных спектрозональных аэроплёнок имеют негативные типа «панхром плюс инфрахром» со слоями, чувствительными к излучению в красной (570—690 ммк) и ближней инфракрасной (670—820 ммк) зонах спектра; из трёхслойных спектрозональных аэроплёнок — негативные (в СССР) и обратимые (за рубежом, называемые там «ложно-цветными» или «цветными-инфракрасными»), причём те и другие типа «ортохром плюс панхром плюс инфрахром», т. е. с добавлением слоя, чувствительного к излучению в зелёной (500—600 ммк) зоне спектра. При печати со спектрозональных аэроплёнок используют обычные цветные (многослойные) или специальные спектрозональные (двухслойные) фотобумаги и позитивные плёнки. На отпечатках аэроснимков и на оригинальных аэрофильмах (на обратимой плёнке) наземные объекты воспроизводятся в преобразованных условных цветах, характеризующихся большим разнообразием, постоянством и соответствием объектам, чем ахроматические тона на черно-белых аэроснимках (ср. аэроснимки). Цветные спектрозональные аэроснимки наряду с преимуществами для дешифрирования характеризуются и достаточно высокими измерительными качествами, что предопределяет возможность их широкого использования в фотограмметрии. В Сов. Союзе цветная С. а. применяется главным образом в лесном и сельском хозяйстве, при геологических и топографических работах.
Разработан и успешно внедряется вариант С. а., при котором воздушное фотографирование осуществляется синхронно тремя или более сблокированными аэрофотоаппаратами (или одним многообъективным) на нескольких черно-белых аэроплёнках, чувствительных к излучению в разных зонах спектра. Экспонируют эти аэроплёнки с использованием целой серии различных светофильтров, специально подбираемых по спектральной характеристике в целях выделения или исключения при данной аэросъёмке тех или иных узких диапазонов световых лучей. Таким путём обеспечивается изготовление комплекта сопоставимых аэроснимков, содержащих в совокупности наибольшую информацию с заснятой территории. Этот вариант С. а. получил название многоканальной аэрофотосъёмки (в переводной литературе её также именуют многозональной, мультиспектральной и т. и.).
Лит.: Михайлов В. Я., Аэрофотография и общие основы фотографии, 2 изд., М., 1959; Гольдман Л. М., Применение цветной аэросъёмки для изучения местности, М., I960 (Тр. ЦНИИГАиК, в. 137); Самойлович Г. Г., Применение аэрофотосъёмки и авиации в лесном хозяйстве, 2 изд., М., 1964; Зайцев Ю. А., Мухина Л. А., Применение цветной и спектрозональной аэрофотосъёмки в геологических целях, М., 1966; Гольдман Л. М., Топографическое дешифрирование цветных аэроснимков за рубежом, М., 1971; Кучко А. С., Аэрофотография, М., 1974; Толчельников Ю. С., Оптические свойства ландшафта, Л., 1974; Manual of color aerial photography. Wash., 1968.
Л. М. Гольдман.

Аэроснимки с натуральным (цветные) и преобразованным (спектрозональные) цветовоспроизведением местности, полученные в летнее время. Оптимальные случаи применения аэроснимков данных типов. Слева — среднегорный участок с обнаженными пестроцветными грядами коренных пород (мергели — красноватые, песчаники — серые). Справа — равнинный озерно-болотный участок с древесно-кустарниковой растительностью (ельники — зеленые, березнями — кирпично-красные).

Аэроснимки одного и того же участка местности: слева — обычный, справа — инфрахроматический. На рисунке справа деревья четко разделены на хвойные (более тёмные) и лиственные (светлые), тёмное пятно в центре — водоём, который на обычном снимке сливается с общим фоном.

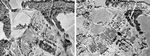
Аэроснимки с натуральным (цветные) и преобразованным (спектрозональные) цветовоспроизведением местности, полученные в летнее время. Аэроснимки одного и того же всхолмленного участка в полосе смешанных лесов; видны небольшой населенный пункт, перелески, поля и др. На цветном аэроснимке (слева) дома распознаются уверенно, древостои по породам на разделяются, посевы мало дифференцируются. На спектральном аэроснимке (справа) дома распознаются не полностью, древостои разделяются благодаря условной цветопередаче (сосняки — темно-зеленые, дубравы — желто-коричневые), посевы дифференцируются.