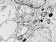
Клетки щитовидной железы крысы с включениями (увеличено в 18000 раз). Условные обозначения: 1 — ядро, 2 — ядерная оболочка, 3 — клеточная оболочка, 4 — эндоплазматическая сеть, 5 — митохондрии, 6 — комплекс Гольджи, 7 — плотные тела, 8 — рибосомы.


 

Оглавление