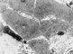
Поперечный срез мышечных клеток саранчи (увеличено в 54000 раз). Условные обозначения: 5 — митохондрии, 10 — миофибриллы.


 

Оглавление